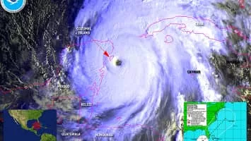
Hurricane Wilma photograph

Hurricane Wilma

Use attributes for filter !
Total fatalities87
DateOctober 16, 2005 – October 27, 2005
CategoryCategory 5 Hurricane (SSHWS)
Affected areas Europe
Cuba
Florida
The Bahamas
Jamaica
Did you knowWilma is the seventh-costliest Atlantic hurricane ($27. 4 billion in damage).
Date of Reg.
Date of Upd.
ID733336
Send edit request

About Hurricane Wilma


Hurricane Wilma was the most intense tropical cyclone ever recorded in the Atlantic basin, and the second-most intense tropical cyclone recorded in the Western Hemisphere, after Hurricane Patricia in 2015.

Hurricane Wilma Photos

Related Persons

Next Profile ❯