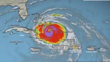
Hurricane Irma
| Use attributes for filter ! | |
| Total fatalities | 134 |
|---|---|
| Highest wind speed | 285 km/h |
| Date | August 30, 2017 – September 13, 2017 |
| Affected areas | Florida |
| Saint Martin (Island) | |
| Puerto Rico | |
| Cuba | |
| Category | Category 5 Hurricane |
| Did you know | Irma is the fifth-costliest Atlantic hurricane ($64. 8 billion in damage). |
| Highest winds | 177 mph |
| Cost | $77.16 billion |
| Affected area | Florida |
| Caribbean | |
| Puerto Rico | |
| 2022-12-16 18:15:59 | |
| Saint Martin | |
| Location2 | The Bahamas |
| Turks and Caicos Islands | |
| Leeward Islands | |
| Eastern United States | |
| Greater Antilles | |
| Date of Reg. | |
| Date of Upd. | |
| ID | 567987 |
About Hurricane Irma
Hurricane Irma was an extremely powerful Cape Verde hurricane that caused widespread destruction across its path in September 2017. Irma was the first Category 5 hurricane to strike the Leeward Islands on record, followed by Maria two weeks later.
Redonda: Tiny Caribbean island's transformation to wildlife haven
... Six years ago, Barbuda was devastated by Hurricane Irma and warming seas continue to pose an existential threat to islands across the region...
Hurricane Ian - Maps and images showing destruction
... In 2017, Hurricane Irma passed over the Florida Keys as a Category 4 hurricane but at times reached a Category 5, with winds of up to 295km/h (185mph)...
Nuclear weapons and hurricanes don't mix, NOAA advises
... Several other outlandish ideas have been floated in recent years, including one Facebook event calling for US gun owners to shoot down Hurricane Irma in 2017 with bullets and flamethrowers...
Why, I don't want to have the own country is my business is built on'
...Hurricane Irma smash his way through Barbuda in September 2017...
Hurricane Irma survivor's unusual new home
...Rob DePiazza s Florida home was destroyed by Hurricane Irma...