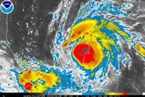
Hurricane Emily photograph

Hurricane Emily

Use attributes for filter !
Total fatalities 17
Highest wind speed260 km/h
DateJuly 11, 2005 – July 21, 2005
CategoryCategory 5 Hurricane (SSHWS)
Damage$1. 01 billion (2005 USD)
Affected areas Mexico
Venezuela
Puerto Rico
Colombia
Cuba
Date of Reg.
Date of Upd.
ID1399960
Send edit request

About Hurricane Emily


Hurricane Emily was the earliest forming Category 5 Atlantic hurricane on record in a season and the most intense to form before August.

Hurricane Emily Photos

Related Persons

Next Profile ❯