Hurricane Olivia photograph

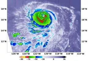
Hurricane Olivia

Use attributes for filter !
Damage$25 million (2018 USD)
DateSeptember 1, 2018 – September 14, 2018
CategoryCategory 4 Hurricane (SSHWS)
Lowest pressure951 mbar (hPa); 28. 08 inHg
Date of Reg.
Date of Upd.
ID2155802
Send edit request

About Hurricane Olivia


Hurricane Olivia was the first tropical cyclone to make landfall on Maui and Lanai in recorded history. The fifteenth named storm, ninth hurricane, and sixth major hurricane of the 2018 Pacific hurricane season, Olivia formed southwest of Mexico on September 1.

Hurricane Olivia Photos

Related Persons

Next Profile ❯