Hurricane Gustav photograph

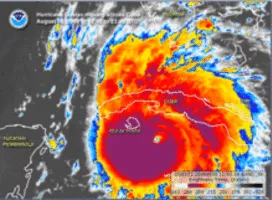
Hurricane Gustav

Use attributes for filter !
Highest wind speed250 km/h
Total fatalities153
DateAugust 25, 2008 – September 7, 2008
CategoryCategory 4 Hurricane (SSHWS)
Damage$8. 31 billion (2008 USD)
Affected areas Dominican Republic
Puerto Rico
Florida
Cuba
Date of Reg.
Date of Upd.
ID1399982
Send edit request

About Hurricane Gustav


Hurricane Gustav was the second most destructive hurricane of the 2008 Atlantic hurricane season. The seventh tropical cyclone, third hurricane, and second major hurricane of the season, Gustav caused . . .

Hurricane Gustav Photos

Related Persons

Next Profile ❯