Typhoon Neoguri photograph

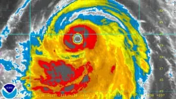
Typhoon Neoguri

Use attributes for filter !
Highest wind speed259 km/h
Total fatalities 3
DateJuly 2, 2014 – July 13, 2014
Damage$632 million (2014 USD)
Affected areas South Korea
Japan
Okinawa Prefecture
Guam
Caroline Islands
CategoryCategory 5 Hurricane (SSHWS), Typhoon (JMA)
Date of Reg.
Date of Upd.
ID2155850
Send edit request

About Typhoon Neoguri


Typhoon Neoguri, known in the Philippines as Typhoon Florita, was a large and powerful tropical cyclone which mainly struck Japan in 2014. The eighth named storm and the second typhoon of the annual typhoon season, Neoguri developed into a tropical storm on July 3 and then a typhoon on July 4.

Typhoon Neoguri Photos

Related Persons

Next Profile ❯