Typhoon Meranti photograph

Typhoon Meranti

Use attributes for filter !
Highest wind speed315 km/h
Total fatalities 30
Damage$4. 79 billion (2016 USD)
DateSeptember 8, 2016 – September 17, 2016
Affected areas South Korea
Philippines
Taiwan
CategoryCategory 5 Hurricane (SSHWS), Typhoon (JMA)
Date of Reg.
Date of Upd.
ID2158138
Send edit request

About Typhoon Meranti


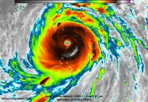
Typhoon Meranti, known in the Philippines as Typhoon Ferdie, was one of the most intense tropical cyclones on record. Impacting the Batanes in the Philippines, Taiwan, as well as Fujian Province in September 2016, Meranti formed as a tropical depression on September 8 near the island of Guam.

Typhoon Meranti Photos

Related Persons

Next Profile ❯