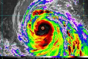
Typhoon Kong-rey photograph

Typhoon Kong-rey

Use attributes for filter !
Total fatalities 3
DateSeptember 28, 2018 – October 6, 2018
Damage$171. 5 million (2018 USD)
Affected areas South Korea
Japan
Taiwan
Federated States of Micronesia
East China
CategoryCategory 5 Hurricane (SSHWS), Typhoon (JMA)
Date of Reg.
Date of Upd.
ID2158161
Send edit request

About Typhoon Kong-rey


Typhoon Kong-rey, known in the Philippines as Typhoon Queenie, was a large and powerful typhoon that was tied with Typhoon Yutu as the most powerful tropical cyclone worldwide in 2018.

Typhoon Kong-rey Photos

Related Persons

Next Profile ❯