Hurricane Walaka photograph

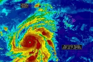
Hurricane Walaka

Use attributes for filter !
Highest winds257 km/h
DamageMinimal
Lowest pressure920 mbar (hPa); 27. 17 inHg
DateSeptember 29, 2018 – October 9, 2018
CategoryCategory 5 Hurricane (SSHWS)
Affected areas Alaska
Johnston Island
Northwestern Hawaiian Islands
Date of Reg.
Date of Upd.
ID2155847
Send edit request

About Hurricane Walaka


Hurricane Walaka was one of the most intense hurricanes on record for the Central Pacific Basin. By minimum pressure, Walaka is the second-strongest tropical cyclone in central Pacific, alongside Hurricane Gilma in 1994, and is only surpassed by Hurricane Ioke in 2006.

Hurricane Walaka Photos

Related Persons

Next Profile ❯