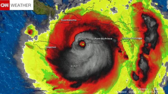
Hurricane Matthew
| Use attributes for filter ! | |
| Highest wind speed | 270 km/h |
|---|---|
| Date | September 28, 2016 – October 9, 2016 |
| Category | Category 5 Hurricane (SSHWS) |
| Affected areas | Venezuela |
| Cuba | |
| Florida | |
| Puerto Rico | |
| Affected area | Florida |
| Haiti | |
| North Carolina | |
| South Carolina | |
| 2023-07-24 00:06:56 | |
| Total fatalities | 603 |
| Highest winds | 270 km/h |
| Location2 | Atlantic Ocean |
| Damag | $16.5 billion |
| Date of Reg. | |
| Date of Upd. | |
| ID | 567984 |
About Hurricane Matthew
Hurricane Matthew was an extremely powerful Atlantic hurricane which caused catastrophic damage and a humanitarian crisis in Haiti, as well as widespread devastation in the southeastern United States.