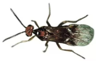
Habrobracon hebetor photograph

Habrobracon Hebetor

Use attributes for filter !
Scientific name Habrobracon hebetor
Phylum Arthropoda
Order Hymenopterans
SubfamilyBraconinae
Rank Species
Higher classification Bracon
Date of Reg.
Date of Upd.
ID2300165
Send edit request

About Habrobracon Hebetor


Habrobracon hebetor is a minute wasp of the family Braconidae that is an ectoparasitoid of several species of moth caterpillars.

Habrobracon hebetor Photos

Related Persons

Next Profile ❯