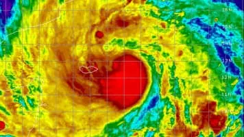
Cyclone Mekunu photograph

Cyclone Mekunu

Use attributes for filter !
Toplam can kaybı 31
En yüksek rüzgar hızı185 km/sa
Tarih21 Mayıs 2018 – 27 Mayıs 2018
Hasar miktarı$1. 5 billion (2 B $)
Etkilenen bölgelerSuudi Arabistan
Yemen
Umman
KategoriKategori 3, Extremely Severe Cyclonic Storm (IMD)
Date of Reg.
Date of Upd.
ID2186656
Send edit request

About Cyclone Mekunu


Cyclone Mekunu Photos

Related Persons

Next Profile ❯