White oak

White oak

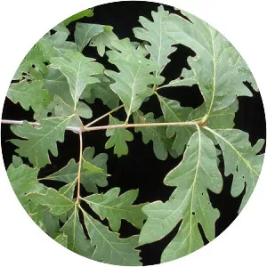
Quercus alba, the white oak, is one of the preeminent hardwoods of eastern and central North America. It is a long-lived oak, native to eastern and central North America and found from Minnesota, Ontario, Quebec, and southern Maine south as far as northern Florida and eastern Texas.

White Oak People (First 6 people) - Page 0

Lambert Hillyer

Lambert Hillyer

American film director

William S. Hart

William S. Hart

American film actor

Joseph H. August

Joseph H. August

American cinematographer

Standing Bear

Standing Bear


Alexander Gaden

Alexander Gaden

Canadian film actor

Luther Standing Bear

Luther Standing Bear

Author